home page > Annunci immobiliari in Italia > Emilia-Romagna > Forlì-Cesena > Cesena > Case e ville indipendenti in vendita > Scheda immobile

Case e ville indipendenti in vendita a Cesena

COMPILA IL MODULO SOTTOSTANTE PER RICEVERE MAGGIORI INFORMAZIONI







Invia la richiesta ad altre agenzie
Accetto il trattamento dei miei dati



Affaridea.com

Via del rio, 75
47521 Cesena (FC)

3358305229    3358305229    Riferimenti: Piraccini Claudio

Cesena
Prezzo: € 195.000
2
100



Descrizione:
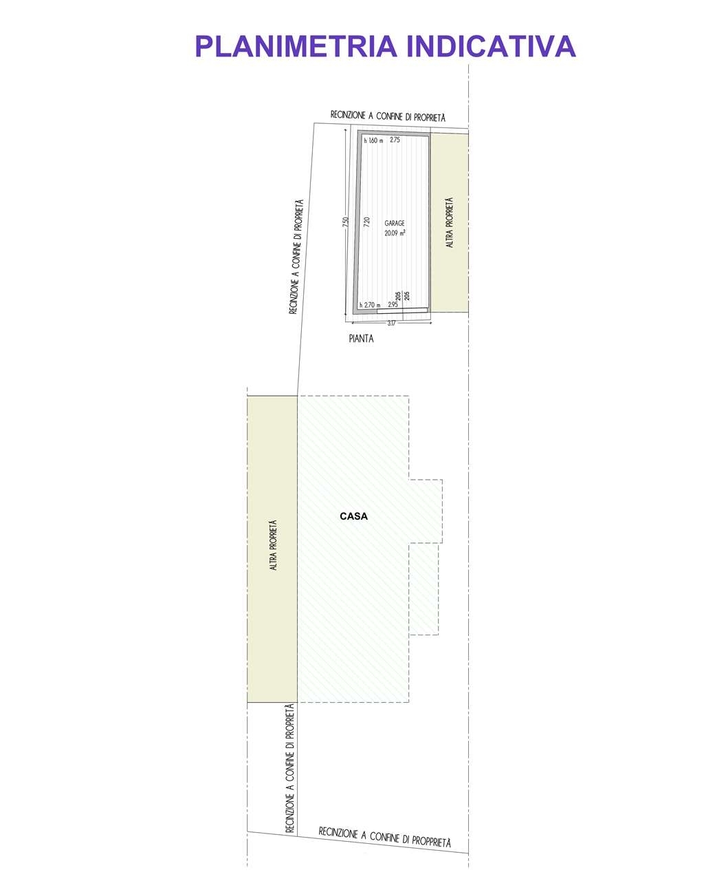
Cesena - borello. Casa semindipendente completamente ristrutturata con riscaldamento autonomo con pompe di calore cosù composta: piano seminterrato con ingresso indipendente per accedere alla cantina-taverna e lavanderia finestrata di circa 50 mq; piano terra garage in corpo staccato, corte ad uso esclusivo e piccolo giardino; piano rialzato ingresso su soggiorno-pranzo, due camere da letto di cui una matrimoniale e una singola, un bagno con doccia.classe energetica in fase di valutazione.le informazioni del presente annuncio sono indicativi e non costituiscono elemento contrattuale.per info Rif.(v001815)classe energetica: in fase di valutazione




Caratteristiche immobile:
Codice inserzione: 1756336268
Rif. Annuncio: V001815-sito-v
Provincia: Forlì-Cesena
Comune: Cesena
Superficie (Mq) : 100 Mq.
Tipo immobile: Case e ville indipendenti
Camere: 2

Costi:
Prezzo € 195.000


Efficienza energetica: