home page > Annunci immobiliari in Italia > Emilia-Romagna > Piacenza > Agazzano > Terreni in vendita > Scheda immobile

Terreni in vendita a Agazzano

COMPILA IL MODULO SOTTOSTANTE PER RICEVERE MAGGIORI INFORMAZIONI







Invia la richiesta ad altre agenzie
Accetto il trattamento dei miei dati



Pianeta case sas

Via dante,30
29121 Piacenza

0523.716140    0523461230

Agazzano
Prezzo: € 120.000
G
1430
Ultimo piano



Descrizione:
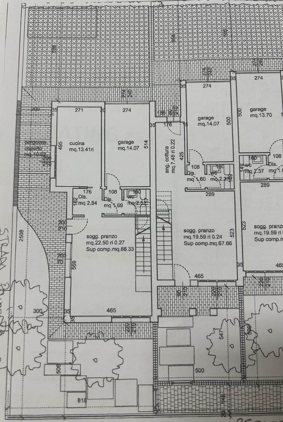
Terreno edificabile centralissimo terreno edificabile di1430 mq con possibilità di edificare villette a schiera come da progetto ipotizzato con la possibilità di collaborazione con impresa edile.il progetto allegato è un'ipotesi di possibilità per sfruttare il lotto, ma è altresù possibile procedere anche con altri progetti.indici 0.50 mq/mq h 7.50 mt classe energetica: g




Caratteristiche immobile:
Codice inserzione: 1756777896
Rif. Annuncio: PN2336992-9
Provincia: Piacenza
Comune: Agazzano
Superficie (Mq) : 1430 Mq.
Tipo immobile: Terreni
Piano: Ultimo piano

Costi:
Prezzo € 120.000


Efficienza energetica:
Classe energetica: G