home page > Annunci immobiliari in Italia > Friuli-Venezia Giulia > Pordenone > Arba > Terreni in vendita > Scheda immobile

Terreni in vendita a Arba

COMPILA IL MODULO SOTTOSTANTE PER RICEVERE MAGGIORI INFORMAZIONI







Invia la richiesta ad altre agenzie
Accetto il trattamento dei miei dati



Asteaffari.com

Viale g. E l. Olivi 38
31100 Treviso

04221781118    Riferimenti: Stefano Dalto

Arba
Prezzo: € 1.800
2730



Descrizione:
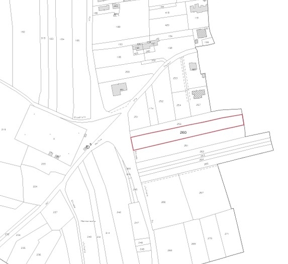
Rif. A.a.213-233vendita all'asta - terreno agricolo in data 9 marzo 2026descrizione: trattasi di un terreno agricolo di forma rettangolare e giacitura pianeggiante della superficie catastale di mq. 2730.l'immobile viene venduto tramite asta giudiziaria, ed il prezzo indicato si riferisce al prezzo minimo accettato per la partecipazione all'asta .aste-affari fornisce un servizio di assistenza e consulenza tecnica , legale, fiscale e finanziaria su acquisti all'asta e affari immobiliari , al fine di rendere più facile e sicuro l'acquisto di un immobile proveniente dal mercato giudiziario oppure da occasioni presenti sul mercato immobiliare . analisi di fattibilità , tecnica, burocratica, finanziaria , legale , esame problematiche e vincoli , conteggio costi accessori ed occulti, assistenza in tutte le fasi della procedura fino alla consegna delle chiavi dell'immobile .l'acquisto può essere finanziato tramite mutuo , e , ove possibile , anche in pre-asta tramite procedura di saldo-stralcio .soluzioni personalizzate per i debitori .prezzo minimo base asta : euro 1.800,00per info aggiuntive , prenotazione visione, consulenza ed assistenza studio di consulenza : 'aste-affari.com'info :




Caratteristiche immobile:
Codice inserzione: 1769763450
Rif. Annuncio: A.A. 213-233
Provincia: Pordenone
Comune: Arba
Superficie (Mq) : 2730 Mq.
Tipo immobile: Terreni

Costi:
Prezzo € 1.800


Efficienza energetica:
Classe energetica: Immobile non soggetto all'obbligo di certificazione