Descrizione:
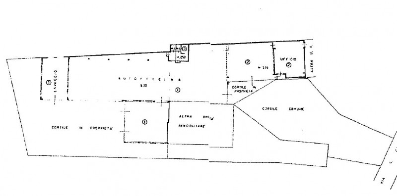
Rif. A.a.72-101 vendita all'asta - laboratorio in data 17 marzo 2026 descrizione immobili : immobile a destinazione artigianale, sviluppato al solo piano terra composto da autofficina, lavaggio auto, ufficio e servizi. Ampio scoperto pertinenziale ad uso parcheggio ed area manovra. prezzo minimo base asta : da euro 28.097,00 valore di stima su perizia : 175.000,00 euro per info aggiuntive, prenotazione visione , consulenza ed assistenza su asta : studio di consulenza : 'aste-affari.com' info: