home page > Annunci immobiliari in Italia > Lombardia > Brescia > Nuvolera > appartamenti in vendita > Scheda immobile

Appartamento in vendita a Nuvolera

COMPILA IL MODULO SOTTOSTANTE PER RICEVERE MAGGIORI INFORMAZIONI







Invia la richiesta ad altre agenzie
Accetto il trattamento dei miei dati



Marusca canniello

Via casello n. 50
25062 Concesio (BS)

3332671951    0302753638    Riferimenti: Canniello Marusca

Nuvolera
Prezzo: € 110.000
1
1
51
Piano terra



Descrizione:
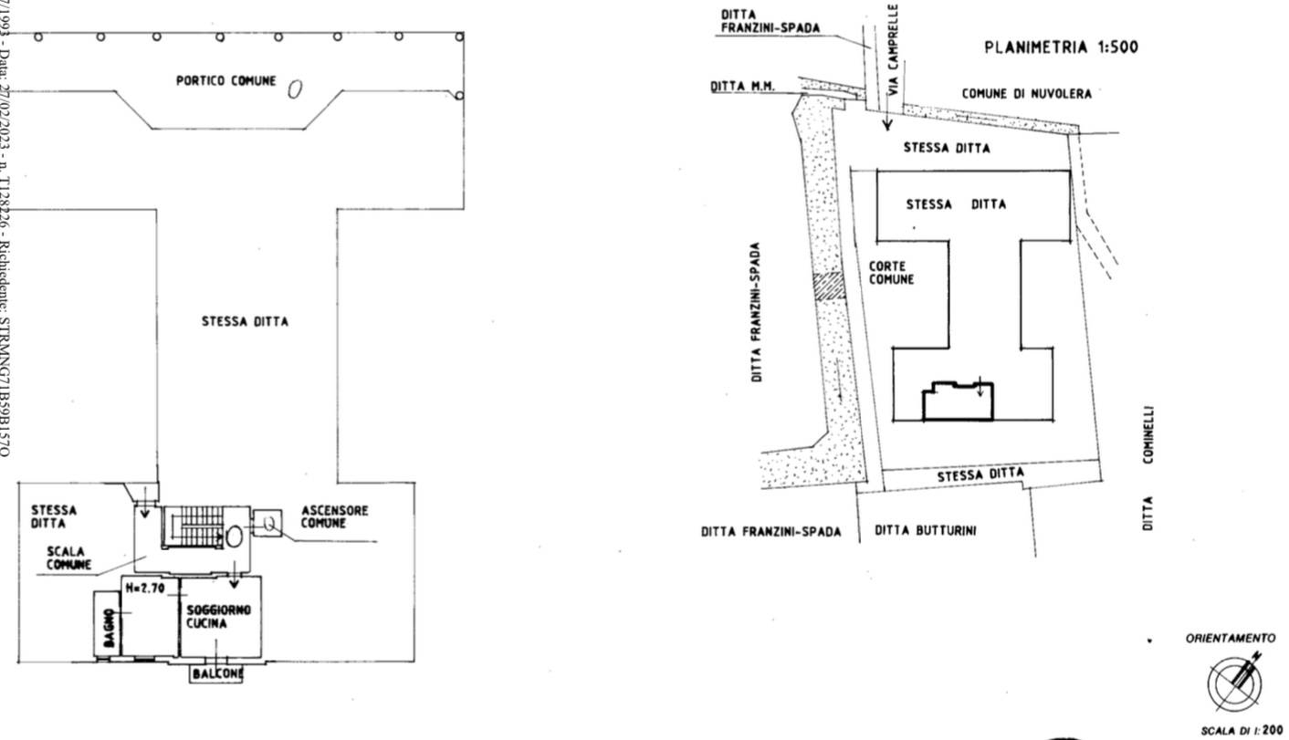
Nuvolera - in posizione centrale strategica e comoda a tutti i servizi, disponiamo di appartamento bilocale posto al piano terra oltre a spazioso deposito posto al piano seminterrato.l'immobile è cosù composto: ingresso sulla zona giorno con angolo cottura e portafinestra che accede al balcone, camera da letto matrimoniale e bagno finestrato con vasca.l'immobile non dispone di posto auto, ma nelle immediate vicinanze vi sono numerosissimi parcheggi pubblici.spese condominiali annue eu. 500,00.richiesta eu. 110.000,00 classe energetica: non indicata




Caratteristiche immobile:
Codice inserzione: 1762830660
Rif. Annuncio: NUVOLERA VIA CAMPRELLE
Provincia: Brescia
Comune: Nuvolera
Superficie (Mq) : 51 Mq.
Tipo immobile: Appartamento
Piano: Piano terra
Camere: 1
Bagni: 1
Terrazze: 1

Costi:
Prezzo € 110.000


Efficienza energetica:
Riscaldamento: autonomo