home page > Annunci immobiliari in Italia > Piemonte > Torino > Castiglione Torinese > Terreni in vendita > Scheda immobile

Terreni in vendita a Castiglione Torinese

COMPILA IL MODULO SOTTOSTANTE PER RICEVERE MAGGIORI INFORMAZIONI







Invia la richiesta ad altre agenzie
Accetto il trattamento dei miei dati



Studio castiglionese s.a.s.

Via mario caudana, n. 2
10090 Castiglione Torinese (TO)

0119601095.0119813086    3456058007

Castiglione Torinese
Prezzo: € 29.000
6000



Descrizione:
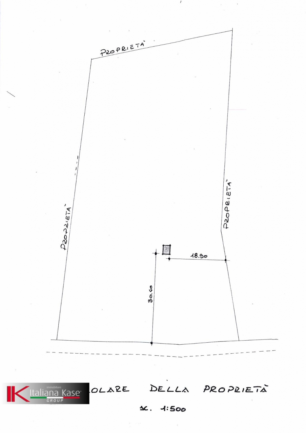
A castiglione t.se, in posizione collinare ma comodamente raggiungibile, terreno agricolo di una superficie di c.a. 6000 mq. il lotto ha una forma rettangolare regolare ed è dotato di predisposizioni per tutti gli allacciamenti ai servizi comunali quali acqua, gas, luce e si presta ad un cambio di destinazione per diventare terreno edificabile.sul terreno è presente un magazzino accatastato per sfruttare come deposito attrezzi. la posizione è dominante, molto panoramica e soleggiata, non distante dal centro paese. per maggiori informazioni rivolgersi all'agenzia italiana kase di castiglione t.se.




Caratteristiche immobile:
Codice inserzione: 1736337679
Rif. Annuncio: Cast.mond
Provincia: Torino
Comune: Castiglione Torinese
Superficie (Mq) : 6000 Mq.
Tipo immobile: Terreni
Stato al rogito: Libero

Costi:
Prezzo € 29.000


Efficienza energetica: