home page > Annunci immobiliari in Italia > Toscana > Pistoia > Quarrata > Negozi uffici capannoni in vendita > Scheda immobile

Negozi uffici capannoni in vendita a Quarrata

COMPILA IL MODULO SOTTOSTANTE PER RICEVERE MAGGIORI INFORMAZIONI







Invia la richiesta ad altre agenzie
Accetto il trattamento dei miei dati



Idee & immobili srl

Via vittorio alfieri 3r
50121 Firenze

055414890

Quarrata
Prezzo: € 800.000
G
3
1400
Ultimo piano



Descrizione:
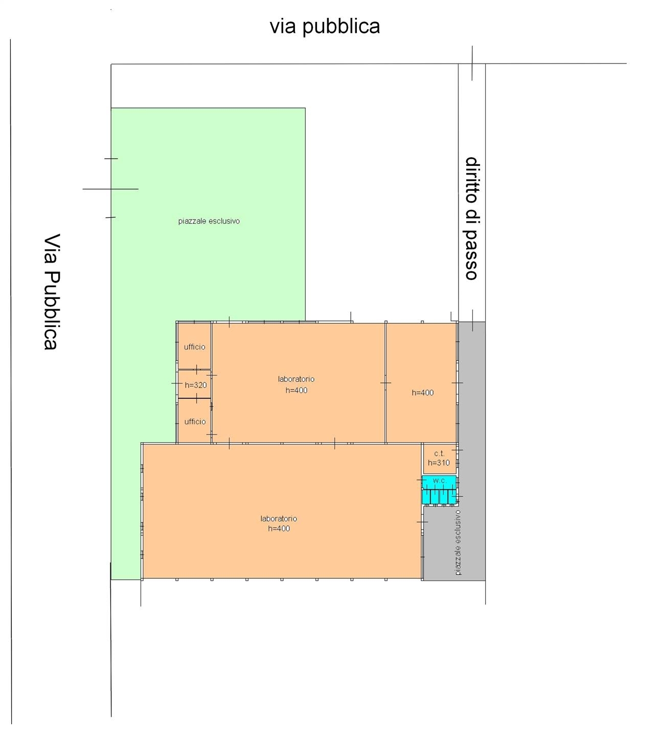
Scopri questo ampio capannone situato nella zona industriale di quarrata, un'opportunità unica per le tue esigenze commerciali. Con una superficie totale di circa 1.400 mq, offre spazi versatili e funzionali, perfetti per attività produttive o magazzinaggio. La struttura, caratterizzata da affascinanti volte, conferisce un tocco di originalità all'ambiente di lavoro.la parte frontale del capannone dispone di circa 1.000 mq di resede, ideale per la movimentazione di merci e parcheggio. L'altezza alle catene di 4 metri garantisce un'ottima fruibilità degli spazi. Inoltre, la presenza di vari resedi e uscite di sicurezza su ogni lato assicura un accesso pratico e sicuro.le condizioni generali sono buone, ma è necessario effettuare alcuni aggiornamenti impiantistici in base alle attività svolte. Il prezzo è davvero competitivo e trattabile, rendendo questa proposta ancora più interessante per imprenditori e investitori. Non perdere l'occasione di visitare questo capannone versatile e ben posizionato! contattaci per maggiori informazioni e per organizzare una visita. Classe energetica: g epi: 175 kwh/m3 anno




Caratteristiche immobile:
Codice inserzione: 1773631982
Rif. Annuncio: Pmagquarrata
Provincia: Pistoia
Comune: Quarrata
Superficie (Mq) : 1400 Mq.
Tipo immobile: Negozi uffici capannoni
Stato immobile: ristrutturato
Piano: Ultimo piano
Bagni: 3

Costi:
Prezzo € 800.000


Efficienza energetica:
Classe energetica: G
Indice di prestazione energetica (EPgl): 175 kWh/mc annui