home page > Annunci immobiliari in Italia > Veneto > Padova > Villanova di Camposampiero > Terreni in vendita > Scheda immobile

Terreni in vendita a Villanova di Camposampiero

COMPILA IL MODULO SOTTOSTANTE PER RICEVERE MAGGIORI INFORMAZIONI







Invia la richiesta ad altre agenzie
Accetto il trattamento dei miei dati



Casa su misura srl

Via gramsci 110
35010 Cadoneghe (PD)

049.8877156    Riferimenti: Casa su misura Srl

Villanova di Camposampiero
Prezzo: € 50.000
650



Descrizione:
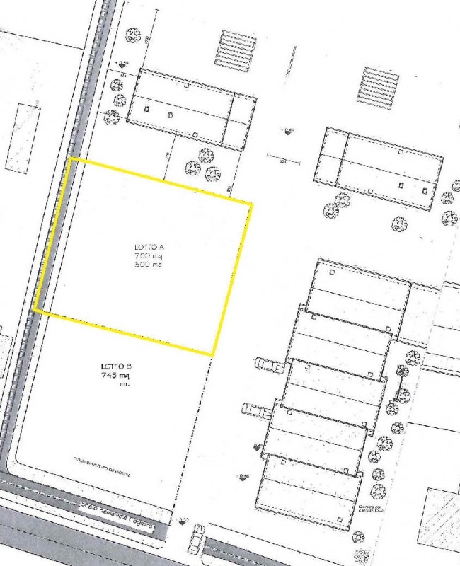
Villanova di camposampiero-murelle rif. T77-: proponiamo lotto edificabile a destinazione residenziale, dalla forma regolare per una superficie di mq 700 ca. Con potenzialità edificatoria di 500 mc ca. il terreno, inserito in un piccolo contesto di sei lotti, è dotato di accessi indipendenti e reso sicuro da un'entrata controllata con strada privata. nel prezzo non sono compresi gli oneri di urbanizzazione e costo di costruzione e i costi per la realizzazione dei sotto servizi privati. € 50.000,00.n.b.: foto indicative.per maggiori informazioni contattateci al seguente numero o inviateci una mail a: nostro sito oltre alla proposta t77, potrete trovare anche altre foto e planimetrie di soluzioni abitative simili sia nella stessa zona, che in zone limitrofe.nel caso il presente annuncio sia di vs interesse o se interessati ad una valutazione gratuita del vostro immobile non esitate a contattarci. Grazie per la visita rif. T77 euro 50.000seguiteci su: facebook: casa su misura padovainstagram: casasumisura_padovai dati e le informazioni contenute nel presente annuncio non costituiscono elemento contrattuale.in ottemperanza alla legge sulla privacy, l'indirizzo ed il puntatore riportato nell'annuncio e nella mappa sono di carattere indicativo e non corrispondono all'indirizzo esatto in cui è ubicato l'immobile. Invitiamo la clientela a contattarci per fornire maggiori informazioni sull'immobile.




Caratteristiche immobile:
Codice inserzione: 1759804394
Rif. Annuncio: T77
Provincia: Padova
Comune: Villanova di Camposampiero
Zona: Murelle Vecchia  
Superficie (Mq) : 650 Mq.
Tipo immobile: Terreni
Anno costruzione/ristrutturazione: 1900

Costi:
Prezzo € 50.000


Efficienza energetica:
Classe energetica: Immobile non soggetto all'obbligo di certificazione