home page > Annunci immobiliari in Italia > Veneto > Venezia > Cavarzere > Negozi uffici capannoni in vendita > Scheda immobile

Negozi uffici capannoni in vendita a Cavarzere

COMPILA IL MODULO SOTTOSTANTE PER RICEVERE MAGGIORI INFORMAZIONI







Invia la richiesta ad altre agenzie
Accetto il trattamento dei miei dati



Asteaffari.com

Viale g. E l. Olivi 38
31100 Treviso

04221781118    Riferimenti: Stefano Dalto

Cavarzere
Prezzo: € 45.000
F
1
135
Piano terra
1



Descrizione:
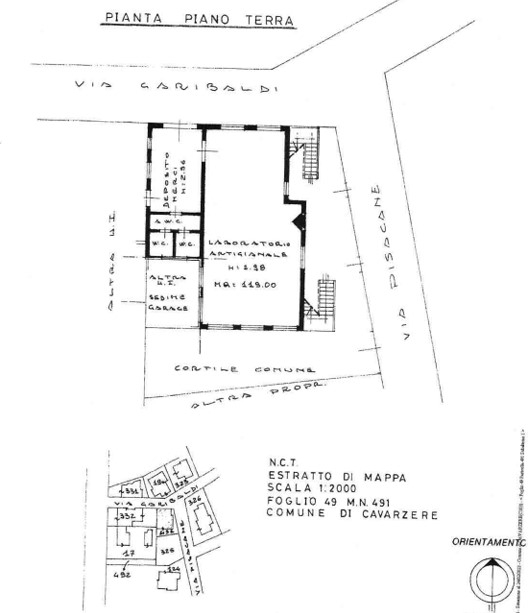
Rif. A.a.396-212vendesi all'asta - laboratorio artigianale in data 17 marzo 2026descrizione: trattasi di un laboratorio posto al piano terra di un edificio degli anni '70 (ristrutturato negli anni '80) con scoperto di pertinenza comune agli appartamenti posti al piano primo, ed ubicato in zona residenziale di cavarzere in prossimità del centro cittadino. L'unità immobiliare, della superficie commerciale complessiva di mq.135, è composta da un'ampia sala da lavoro con scoperto comune, da un'accesso/deposito secondario con antibagno e due servizi.prezzo minimo: 45.000,00 eurol'immobile viene venduto tramite asta giudiziaria, ed il prezzo indicato si riferisce al prezzo minimo accettato per la partecipazione all'asta .aste-affari fornisce un servizio di assistenza e consulenza tecnica, legale, fiscale e finanziaria su acquisti all'asta e affari immobiliari, al fine di rendere più facile e sicuro l'acquisto di un immobile proveniente dal mercato giudiziario oppure da occasioni presenti sul mercato immobiliare.analisi di fattibilità, tecnica, burocratica, finanziaria, legale, esame problematiche e vincoli, conteggio costi accessori ed occulti, assistenza in tutte le fasi della procedura fino alla consegna delle chiavi dell'immobile.l'acquisto può essere finanziato tramite mutuo, e, ove possibile anche in pre-asta tramite procedura di saldo-stralcio.per info aggiuntive, prenotazione visione, consulenza ed assistenza su asta :studio di consulenza : 'aste-affari.com'info: un debitore ? chiamaci ! abbiamo soluzioni personalizzate anche per te.




Caratteristiche immobile:
Codice inserzione: 1769763435
Rif. Annuncio: A.A. 396-212
Provincia: Venezia
Comune: Cavarzere
Superficie (Mq) : 135 Mq.
Tipo immobile: Negozi uffici capannoni
Stato immobile: usato
Anno costruzione/ristrutturazione: 1980
Piano: Piano terra
Posti auto scoperti: 1 posto auto
Tipologia giardino : Condominiale
Bagni: 1

Costi:
Prezzo € 45.000


Efficienza energetica:
Classe energetica: F
Riscaldamento: autonomo