Descrizione:
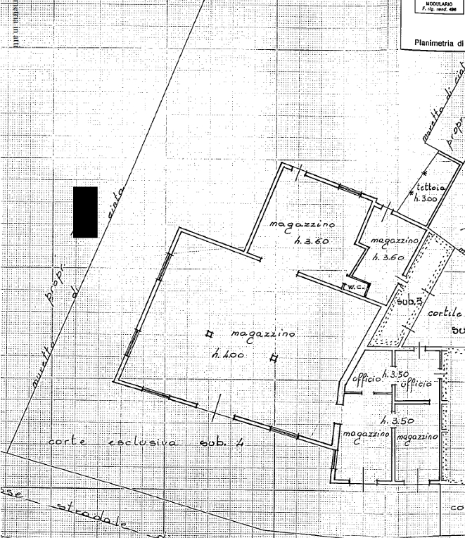
Bonavigo (vr) via guglielmo marconi 20 - piena proprietà di compendio composto da: due magazzini piccoli (ex negozio), due uffici, due magazzini grandi, due cantine, un wc, un pollaio in muratura e uno baraccato, pertinenze porticate/coperte, corte esclusiva; sup. Cat. Mq. 468.immobile soggetto a e.i. N.ro lotto 2 - tribunale di veronaprezzo base d'asta € 80.000,00offerta minima di partecipazione € 60.000,00prossimo esperimento: per visite ed informazioni chiamare il o la nostra agenzia presente da anni sul mercato, ricerca le procedure esecutive e concorsuali fornendo una consulenza tecnico legale, bancaria completa per la partecipazione all'asta per l'acquisto dell'immobile, che comprende:•analisi della procedura esecutiva, valutazione del compendio immobiliare.•assistenza e partecipazione all'asta fino alla chiusura dell'operazione e all'assegnazione dell'immobile tramite, decreto di trasferimento o acquisto con rogito notarile.•ricerca migliore tipologia di finanziamento con gli istituiti di credito convenzionati con il tribunale di verona per l'acquisto dell'immobile in asta.da molti anni garantiamo un servizio sicuro e completo, volto al soddisfacimento della clientela più esigente che spazia dall'investitore al costruttore, dall'azienda multinazionale al privato.ci occupiamo con successo di:•consulenza finanziaria, con ricerca e valutazione di mutui bancari e/o leasing•gestione delle locazioni di patrimoni immobiliari•marketing e comunicazione immobiliarei nostri servizi:•multi-pubblicazione dell'offerta immobiliare sui migliori canali online per la massima visibilità e tempi di conclusione più rapidi•valutazioni immobiliari•certificazioni energetiche, oggi obbligatorie per la vendita e la locazione di tutti gli immobili•verifiche di regolarità urbanistiche e catastalio registrazioni telematiche contratti di locazione (registrazione, rinnovo, proroga, risoluzione) a 50,00 € + ivao registrazioni telematiche contratti di locazione con cedolare secca a 30,00 € + iva