home page > Annunci immobiliari in Italia > Veneto > Treviso > Vittorio Veneto > Negozi uffici capannoni in vendita > Scheda immobile

Negozi uffici capannoni in vendita a Vittorio Veneto

COMPILA IL MODULO SOTTOSTANTE PER RICEVERE MAGGIORI INFORMAZIONI







Invia la richiesta ad altre agenzie
Accetto il trattamento dei miei dati



Asteaffari.com

Viale g. E l. Olivi 38
31100 Treviso

04221781118    Riferimenti: Stefano Dalto

Vittorio Veneto
Prezzo: € 36.000
F
1
2
118
1



Descrizione:
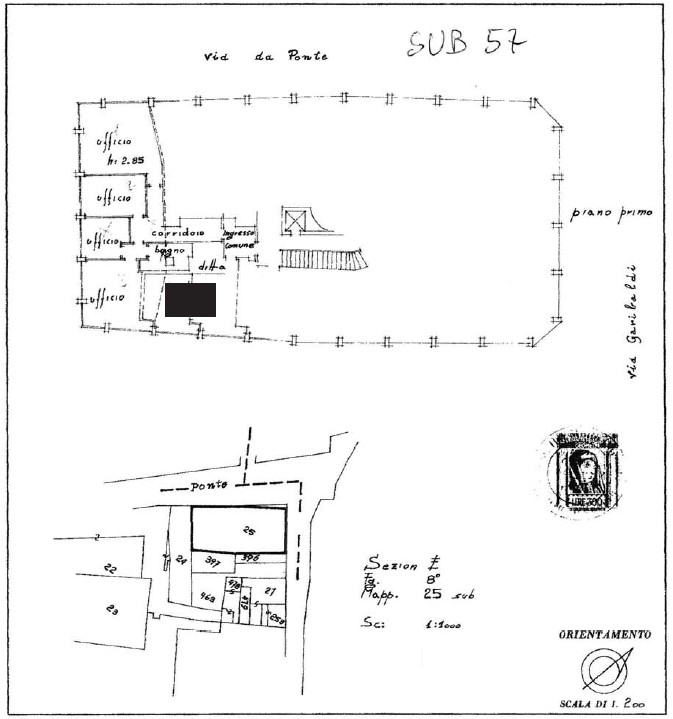
Rif. A.a.207-232 vendita all'asta - ufficio al 1° piano con appartamento in data 19 maggio 2026descrizione immobili : trattasi di un'unità immobiliare facente parte di un fabbricato denominato 'condominio lorenzo da ponte' sito in comune di vittorio veneto (tv), in via giuseppe garibaldi n. 8/a località ceneda. L'unità immobiliare risulta cosù catastalmente composta: corridoio, quattro uffici e bagno al piano primo (m.n. 25 sub 57); cucina, camera e bagno al piano primo (m.n. 25 sub 66), urbanisticamente assentito per uso direzionale e non residenziale. Superficie commerciale complessiva mq.118. l'immobile viene venduto tramite asta giudiziaria, ed il prezzo indicato si riferisce al prezzo minimo accettato per la partecipazione all'asta.aste-affari fornisce un servizio di assistenza e consulenza tecnica, legale, fiscale e finanziaria su acquisti all'asta e affari immobiliari, al fine di rendere più facile e sicuro l'acquisto di un immobile proveniente dal mercato giudiziario oppure da occasioni presenti sul mercato immobiliare.analisi di fattibilità, tecnica, burocratica, finanziaria, legale, esame problematiche e vincoli, conteggio costi accessori ed occulti, assistenza in tutte le fasi della procedura fino alla consegna delle chiavi dell'immobile.l'acquisto può essere finanziato tramite mutuo, e, ove possibile anche in pre-asta tramite procedura di saldo-stralcio.prezzo minimo base asta : da euro 36.000,00per info aggiuntive, prenotazione visione, consulenza ed assistenza su asta :studio di consulenza : 'aste-affari.com'info: un debitore ? chiamaci ! abbiamo soluzioni personalizzate anche per te.




Caratteristiche immobile:
Codice inserzione: 1773632481
Rif. Annuncio: A.A.207-232
Provincia: Treviso
Comune: Vittorio Veneto
Superficie (Mq) : 118 Mq.
Tipo immobile: Negozi uffici capannoni
Stato immobile: usato
Anno costruzione/ristrutturazione: 1990
Piano: 1
Camere: 1
Bagni: 2

Costi:
Prezzo € 36.000


Efficienza energetica:
Classe energetica: F
Riscaldamento: centralizzato